닫기버튼


상단 배너 영역


실시간댓글

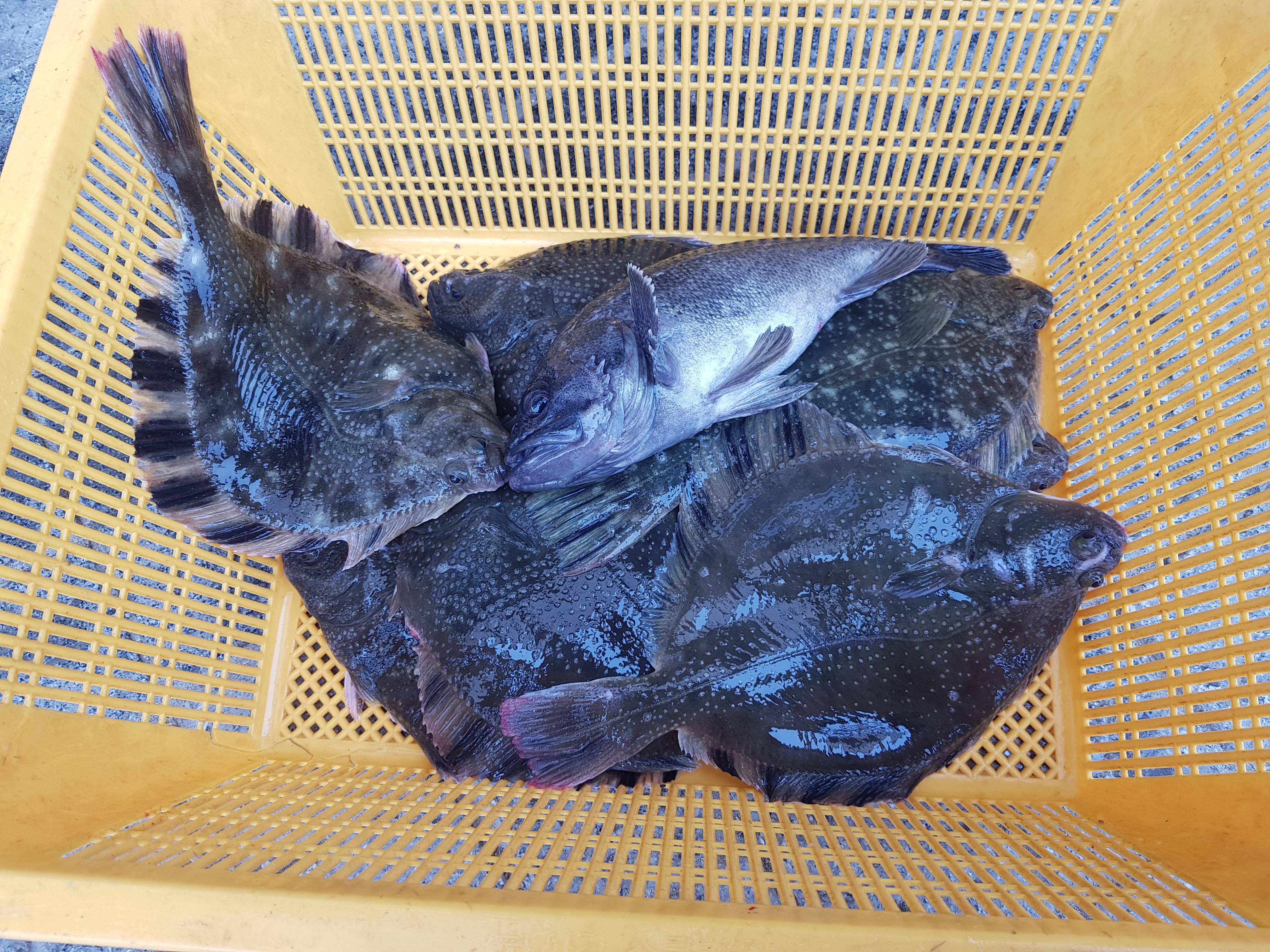
[일반] 낚시왓는데 생각보다 너무춥다

nlv118_534832 Hyorc | 2018-03-25 16:06

빠른철수야

도다리 쑥국 파뤼해야지

nlv124_5210 Hyorc
gold

8,135

point

2,331,736

프로필 숨기기

124

51%

최신순

게임조선 회원님들의 의견 (총 1개) ※ 새로고침은 5초에 한번씩 실행 됩니다.

새로고침

신고

nlv135_8411 재주폭풍 2018-03-25 16:27 0

음 회 먹고싶다

0/500자

목록 글쓰기 위로 로그인


게임조선 소개및 약관