
실시간댓글
|
|
제프다니엘스 | 2018-05-28 10:11

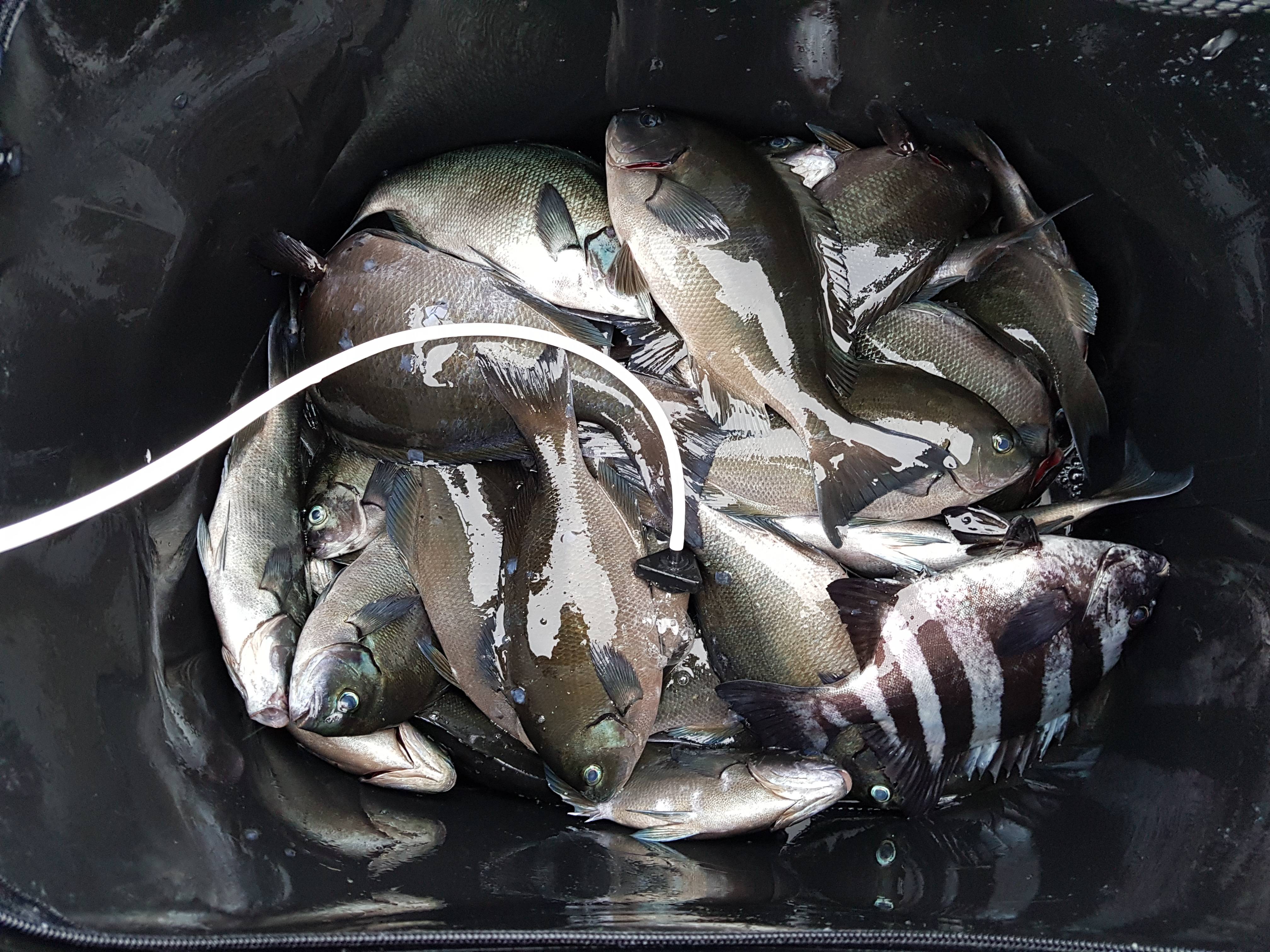
작아보이고 몇마리 안되보이겠지만
아래 깔려있는 것까지 이게 전부 30cm이상으로
59마리임 .. 팔 아파서 중간에 쉬지 않았으면
오랫만에 백마리 채울뻔했는데
파도가 너무 쌔서 걱정했는데 너울 덕분에 대박 조황
손질하기엔 너무 지쳐서 지인들 다 나눠주고 구워먹을거 10마리 가져옴
제프다니엘스
1,575
837,218
프로필 숨기기
14%